×
[PR]上記の広告は3ヶ月以上新規記事投稿のないブログに表示されています。新しい記事を書く事で広告が消えます。
ニジマス*30(20-50cm)
しばらく行って無かったので一カ月ぶり
久しぶりすぎてパターンが分からんorz
濁ってるしライズはあるけど射程が短い感じがあるorz
ぼちぼち当たるがアワセるとナイロンが伸びるorz
巻きアワセならいけるが体が勝手に捻るorz抜けるorz
そもそもびゅーびゅーのちゃぷちゃぷでわからんorz
ぼちぼちはアタるが例年みたいに見切りが早いとかではないorz
あれやこれや試した結果クランクの糞ド素人巻きが正解とか身もふたもないorz
去年の1月に見たヒゲがまた居たけど今度はガキ連れで邪魔度もアップorz
隣が良く釣ってるなってみたらジグヘッドにワームつけたクソ野郎
小屋横もよく釣ってる思うたらマ式っぽいウンコ
午後になって雨が降り出したので退避してインを観察してたがクリアイエローのシンペンをシェイクで早巻きで連発してて当然やってみたが違いが分からんorz
小一時間ほどで止んだので再開するがインの魚影がクッソ濃い…
どうにかこうにか30釣れたけど分からんorz
カメラ修理中なので写真は5匹に1枚
ロッド/シマノ ワールドシャウラTE 66SUL-2
リール/シマノ 16ストラディックCI4+C2000S
ライン/ダイワ エメラルダスセンサー 0.5号+東レ リアルファイター 2.5lb
桂川珍獣図鑑
ロッドいっぱい持ってても釣れてるのはジグヘッドワーム糞野郎
PR
コイ*5(50cmくらい)
またびゅーびゅーでどこもダメそうなのでまたドブ
と思ったら上も下もポイントに人おるやんけorz
間のてきとーな所で始めたが足場が高いorz
ちょっと下に溜まりがあって流れは悪くないが桜がジャマorz
ぼちぼち出るけどやっぱり足場が良くないorz
あんまりなので橋の南に移動してみたらもっとびゅーびゅーorz
桜の溜まりがあって放り込んだら一発だけど散ってそれっきりorz
見えナマいたので通したらバイトするも乗らずorz
やっぱり風強すぎてムリorz
ロッド/シマノ エクスプライド165L-BFS/2
リール/シマノ 12アルデバランBFS-XG
ライン/よつあみ G-soul X8 0.8号+クレハ R18 8lb
レイン/根魚フラット‐根魚ストロベリー/¥423
?/ウッドレッドペッパー?‐オイカワ/¥231
天気がイイカンジなのでヅラの予定だったけどえはいおorz
そういえばスイミングフック要るなと思ってちょいちょい
フラットは食わない気がするけどもしかしてもあるので…
結局一日いい感じの曇りデシタヤンorz
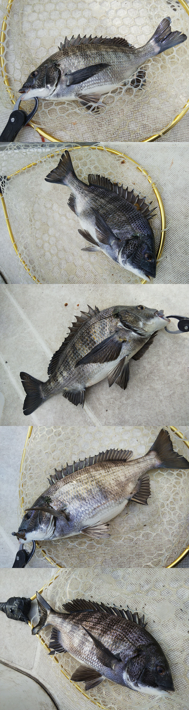
チヌ*20バイト10ヒット5キャッチ(30-50cm)
行こうぜということでほぼ一年ぶり
よりにもよって3連休イチのびゅーびゅーorz
一か所目から浮いてるけどラインが持ってかれるorz
前みたいに完全向こうアワセで待ってても吐かれるorz
ライン追いかけるのはあきらめて聞き合わせに徹するがバレるorz
後半からようやく浮いてるのが追いかけて食うようになるがもぐもぐされて終了多数orz
ガッツリ食ってもフック噛み潰されてるとかなんなのorz
ぼちぼち釣れてエサも尽きたのでパワーするがこっちのがやりやすい…
風さえなければ…ぐぬぬ…
ロッド/シマノ エクスプライド263L-S/2
リール/シマノ 11ツインパワー2500S
ライン/よつあみ G-soul X8 0.8号+クレハ R18 8lb
コイ*4(50cmくらい),アカミミガメ,クサガメ
せっかくの三連休なのにぜんぶびゅーびゅーorz
なので一日目はとりあえず祭りのポイント集め
どこも流れと溜まりがイマイチorz
トップに出ないでもないけどバイトが浅いorz
しかたないのでサスペンドで流すがこれも浅いorz
ようやく食わせてもすっぽ抜け多数orz
いつもの場所まで下ったらやっとアカミミングシーズンインきたで…
小麦の朝食だとすぐ溶けるしロイヤルだと固まって沈んでバランスが悪いorz
ロッド/シマノ エクスプライド165L-BFS/2
リール/シマノ 12アルデバランBFS-XG
ライン/よつあみ G-soul X8 0.8号+クレハ R18 8lb
カサゴ*106(10-20cm),ムラソイ*4
この時期は場所も限られるので行けそうならとりあえず
ぼちぼち吹く予報なのに臨時便出るほど多いorz
潮が高いので逆走だが思ったより高くて途中詰まるorz
そもそもエサおじが多くてジャマorz
そして手のひらサイズばっかりorz
ペースは前回の半分未満orz
やっと調子が出てきたのが昼くらいorz
テンションとシェイクで釣れると楽しいがぜんぶ拾ってるせいでアベレージが下がってる気がするorz
予報ほど吹かなくて終盤は前回以上だったけどサイズがダメorz
ロッド/シマノ エクスプライド165L-BFS/2
リール/シマノ 03ツインパワーMg2500S
ライン/デュエル アーマードフロロプロ 0.6号+ラインシステムズ 磯波止SP 10lb
